【泰國新聞報導】泰國氣象廳23日發佈第4號颱風預警公告,颱風RAGASA正以每小時20公里速度向西北偏西方向移動,預計25日登陸越南北部後逐漸減弱,雖然颱風不會直接侵襲泰國,但其增強的西南季風將導致全國多地出現強降雨。
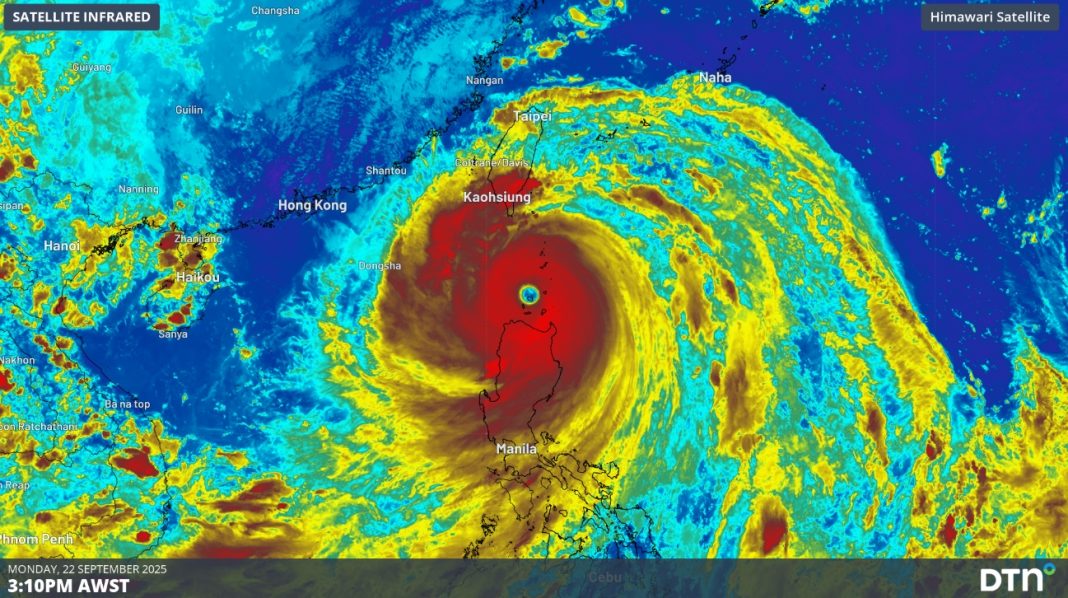
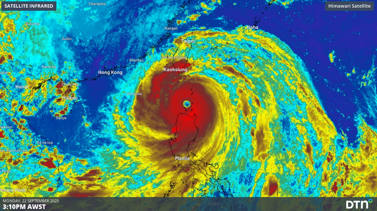
氣象資料顯示,截至23日上午10時,颱風中心位於北緯20.2度、東經117.6度的南海北部海域,中心最大風速達195公里/小時。該颱風將途經香港及中國南部沿海,於25日進入北部灣後減弱為熱帶風暴。
受颱風週邊影響,泰國北部、東北部、中部、東部及曼谷周邊地區在23日至26日期間將出現強降水過程。氣象廳提醒民眾警惕突發性洪水、山洪暴發及河水氾濫,特別是山地流域、低窪地區和洪澇易發區。
海事部門同時發出航行警告,安達曼海北部海域浪高將達2-3米,雷暴區域浪高超3米,建議小型船隻24日至26日期間避免出海。
民眾可通過氣象廳官網(http://www.tmd.go.th)或24小時熱線0-2399-4012-13及1182獲取最新氣象資訊。
(未經授權 不得轉發)
※※※ 未經授權 不得轉載 ※※※





